

Pour îles, Octobre n'a pas été si rose.
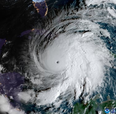
L'ouragan Mélissa, une catastrophe de catégorie cinq se serait manifestée dans les pays des îles. Elle a commencé en Jamaïque mais se répand dans les pays comme la Haïti, la République dominicaine et toque aux portes du Canada.
À ce jour, nous comptons 4 morts en Jamaïque, et près de 20 morts en Haïti. La douleur s'amplifie aussi dans les maisons qui sont détruites, des propriétés perdues, et l'impuissance des victimes.
Face à un tel cauchemar, le salut se trouve en Dieu. Ceux qui se tournent vers Lui ne seront pas couverts de honte, et Dieu sauve ceux qui se tournent totalement à Lui. Une femme des îles soutient : "Priez afin que les îles se tournent de leurs faux dieu pour rencontrer le Dieu véritable".
Prions donc :
Que les îles se repentent de l'idolâtrie et rencontrent le vrai sauveur, Jésus-Christ
Invoquons la miséricorde de Dieu, car tout peuple qui est contre Lui en subit des conséquences.
Prions que dans cette épreuve la foi puisse dominer, et la Parole de Dieu soit encore plus répandue.
Que Dieu dans sa grâce et sa force stoppe cette catastrophe.
Prions pour la restauration des biens, la consolation des victimes. Que Dieu puisse restaurer au double comme Il l'a fait avec Job
